最新/菲律賓拉警報!「鳯凰」今晚9:10登陸呂宋島奧羅拉省
2025-11-09 22:34
- 小
- 中
- 大
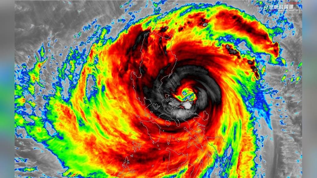
即時中心/廖予瑄報導最新消息!根據菲律賓國家氣象局報導,颱風「鳯凰」今(9)日已經在當地時間晚間9點10分(台灣時間晚間9點10分)登陸呂宋島奧羅拉省。
即時中心/廖予瑄報導
最新消息!根據菲律賓國家氣象局報導,颱風「鳯凰」今(9)日已經在當地時間晚間9點10分(台灣時間晚間9點10分)登陸呂宋島奧羅拉省。
延伸閱讀
{PLAYICON}西門町伴手禮店爆「原價90元小泡芙賣220元」!台灣人也看傻眼:被當盤子
2025/11/09 20:20:44

颱風鳳凰「直擊」菲律賓小島 10萬居民大撤離
2025-11-09 15:50
{PLAYICON}「鳳凰」共伴效應北移 氣象粉專曝「這天」影響台灣最劇烈
2025/11/09 21:12:14
{PLAYICON}《央視》「起底沈伯洋」還想通緝!外交部震撼表態:懸崖勒馬、停止恫嚇
2025/11/09 21:50:01

鳳凰強襲菲律賓!瞬間陣風飆230公里 吊橋狂晃影片曝光
2025-11-09 17:28

新北警戒!「鳳凰」恐挾帶驚人雨勢 市府:「這11區」加強戒備
2025-11-09 17:25
